DEDICATED IN MEMORY OF

Eliyohu ben Moshe Mordechai a”h

By his family

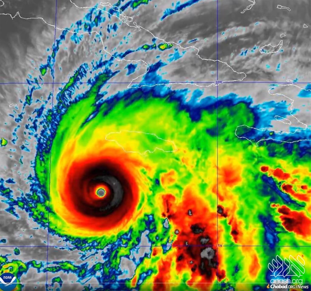
Chabad of Jamaica Braces for Powerful Hurricane Melissa

As Hurricane Melissa barrels toward Jamaica and is expected to be the strongest storm ever to hit the island, Rabbi Yaakov Raskin is preparing to stay and weather the storm. Update Tuesday at 1:30 PM ET.

A furious Hurricane Melissa is barreling toward Jamaica and is expected to make landfall on Tuesday as a Category 5—the strongest storm ever to hit the island. As airports close and residents evacuate, Rabbi Yaakov Raskin, who has directed Chabad-Lubavitch of Montego Bay with his wife Chaya since 2014, is preparing to stay and weather the storm.

“As long as there’s even one Jew in Jamaica, we have to be here for them,” says Raskin.

Raskin is no stranger to weathering storms. In June 2024, he remained in place through Category 4 Hurricane Beryl. At the time, Chabad coordinated a team of volunteers from across the community to lead relief efforts, distributing generators, handing out cases of water, and providing food to hundreds.

“We sustained $30,000 in damages during Beryl, but that was a rich man’s problem compared to the people who lost houses and lives,” the rabbi says.

As Hurricane Melissa rages, the Raskins are preparing once again. During his interview with Chabad.org, Rabbi Raskin paused to run and empty freezers at the Chabad center.

“We have 5,000 gallons of water. Enough for our family, our community, and anyone who takes shelter at the Chabad House,” he says. “We’re reaching out to everyone, making sure we have correct contact information so we can stay in touch. We’re doing our best to reach out to everyone we know.”

Providentially, three pallets of food that had been ordered for Rosh Hashanah but never arrived, suddenly showed up on Friday. “It’s really a miracle,” Raskin says.

Melissa is moving at just three miles per hour, a dangerously slow pace. Slow-moving hurricanes can be catastrophic, their winds battering structures for longer, causing lengthier storm surges, and delaying rescue operations. Lingering, Melissa will also unleash far more rain on the island, potentially causing severe flooding.

Through the night, the Raskins and volunteers have worked tirelessly, stacking beds by boarded-up windows, laying sandbags, reinforcing walls, and praying for a miracle. “We reached out to 10,000 contacts by email to pray for Jamaica,” says Raskin. “My mother-in-law just ran to the Ohel, the resting place of the Rebbe, Rabbi Menachem M. Schneerson, of righteous memory, to pray as well.”

The team at Chabad of Montego Bay has been preparing for Hurricane Melissa by securing The Ark Center, stocking up on supplies, and connecting with their community.

‘We’re Here and Ready to Serve’

Raskin notes that last week’s Torah portion was Noach, the story of the flood and the ark. Fittingly, the Chabad center in Montego Bay is called The Ark Center.

Beyond nailing windows and stacking canned goods, Raskin is building a spiritual ark, focused on fortifying the faith of his community. The Chabad center is located in Montego Bay, on Jamaica’s southern coast, which is not in the direct path. “We’re here and ready to serve,” Raskin says. “Hopefully, it won’t be a disaster. But if it is, we’ll be ready again, just like after Beryl.”

People have already begun arriving at the Chabad House, some with pets and belongings in hand. The Ark Center is stocked with 500 gallons of diesel, backup phones, and power banks.

“We are the Rebbe’s emissaries here,” Raskin says. “We have a responsibility to every Jew and non-Jew on the island.”

“We’re preparing for the worst and hoping for the best,” Raskin says forcefully. “G‑d runs the world. Our job is to prepare as best we can and trust that He’ll do the rest.”

The Ark Center is stocked with a large generator, 500 gallons of diesel, backup phones, and power banks.

Hurricane Melissa has already killed three people in Haiti and one person in the Dominican Republic, and is the strongest storm on the planet this year.

*

Update Tuesday at 1:30 PM:

The shul window boards have come off and water is entering the building. The Torahs have been moved to a safer place.

VIDEO

COMMENTS

We appreciate your feedback. If you have any additional information to contribute to this article, it will be added below.

Leave a Comment

Your email address will not be published. Required fields are marked *




Subscribe to
our email newsletter

Subscribe to our email newsletter

advertise package